Türk havacılık tarihinin en karanlık kazalarından biri olarak gösterilen, Türk Hava Yolları’nın “Bursa” adlı yolcu uçağı 30 Ocak 1975’te Marmara Denizi’ne düşmüş, 42 kişi hayatını kaybetmişti. Aradan geçen 51 yıla rağmen enkazın tamamına ulaşılamaması, kazayı hâlâ gizemini koruyan olaylar arasına taşıyor.
Kazada yaşamını yitirenler arasında teknik direktör Fatih Terim’in kayınpederi Kamuran Aksu ile şarkıcı Seyyal Taner’in hostes kardeşi gibi kamuoyunun yakından tanıdığı isimler de bulunuyordu. Dönemin teknolojik imkânlarının yetersizliği nedeniyle enkazın resmi olarak çıkarılamadığı ve arama çalışmalarının sınırlı kaldığı biliniyor.
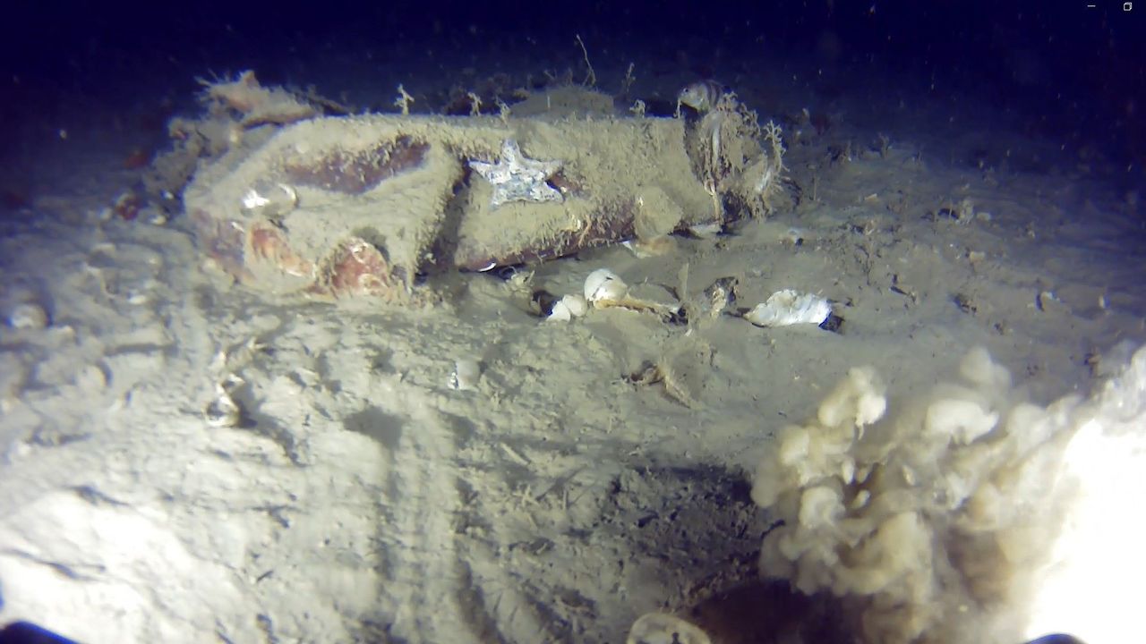
51 YILLIK GİZEM İÇİN YENİ DALGIÇ OPERASYONU
Sosyal medya fenomeni Nedim Kuru ve ekibi, kazanın izini sürmek amacıyla yeniden harekete geçti. Daha önce de bölgede arama yapan ekip, beşinci kez su altı taraması gerçekleştirdi.
Aramalar, Büyükçekmece ve Ambarlı açıklarında sonar cihazları ve su altı dronu kullanılarak yapıldı. Yaklaşık 7 saat süren dip taramasında deniz tabanı detaylı şekilde görüntülendi.
ALÜMİNYUM PARÇALAR TESPİT EDİLDİ
Ekip tarafından yapılan açıklamaya göre, taramalar sırasında uçağa ait olduğu değerlendirilen alüminyum parçalar görüntülendi. Nedim Kuru, “THY’ye ait ‘Bursa’ isimli ve 42 yolcusuyla birlikte düşen yolcu uçağına beşinci dalış operasyonumuzu gerçekleştirdik. Yedi saat boyunca su altı dronu ile enkaz bölgesini taradık ve uçağa ait olduğunu düşündüğümüz parçaları kayıt altına aldık” ifadelerini kullandı.
Tespit edilen bulguların resmi makamlarla paylaşılacağı ve inceleme sürecinin ardından parçaların kesin olarak uçağa ait olup olmadığunun netleşeceği öğrenildi.
ANIT MEZAR İÇİN RESMİ BAŞVURU
Arama çalışmalarının yanı sıra, kazada hayatını kaybedenlerin anısının yaşatılması için de girişimde bulunuldu. Nedim Kuru’nun, İstanbul Valiliği’ne başvurarak Marmara Denizi’nde bir anıt mezar yapılmasını talep ettiği bildirildi.
Yarım asrı aşan kazaya ilişkin çalışmaların, hem kayıpların yakınları hem de kamuoyu açısından yeni bir dönüm noktası olup olmayacağı merak konusu.




